넓은잎갈퀴
작성일 12-09-12 10:46
조회 1,244
댓글 8
추천수: 0
본문
Canon EOS 5D, F4.0, ISO-800, Auto WB, Manual Exposure, 1/1000s, 0.00EV, Multi-segment, 100mm, Flash not fired, 880 x 587, 2012:09:11 17:12:13
Canon EOS 5D, F5.6, ISO-800, Auto WB, Manual Exposure, 1/200s, 0.00EV, Multi-segment, 100mm, Flash not fired, 880 x 587, 2012:09:11 17:23:49
Canon EOS 5D, F5.6, ISO-800, Auto WB, Manual Exposure, 1/320s, 0.00EV, Multi-segment, 100mm, Flash not fired, 880 x 587, 2012:09:11 17:20:14
Canon EOS 5D, F5.6, ISO-800, Auto WB, Manual Exposure, 1/320s, 0.00EV, Multi-segment, 100mm, Flash not fired, 880 x 587, 2012:09:11 17:20:52
Canon EOS 5D, F6.3, ISO-800, Auto WB, Manual Exposure, 1/50s, 0.00EV, Multi-segment, 100mm, Flash not fired, 880 x 587, 2012:09:11 17:17:40
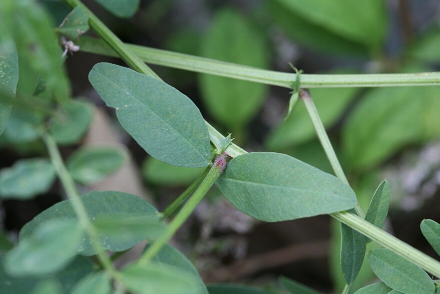
잎은 원두이거나 요두(잎 끝이 약간 오목한 모양) 이고 원저(둥근 모양) 이며 탁엽(잎줄기가 나는 부분에 있는 작은 잎) 은 작고 둘로 갈라지고,
꽃은 홍자색이었다가 시기가 지나니 남자색으로 변하더군요.
주로 높은산쪽에서 보이더군요.
참고로 등갈퀴나물은 원두이고 예저이며 탁엽이 부채모양으로 좀 넓은 모양이고 바깥쪽 가장자리에 톱니가 두세개 있습니다.
꽃은 홍자색이었다가 시기가 지나니 남자색으로 변하더군요.
주로 높은산쪽에서 보이더군요.
참고로 등갈퀴나물은 원두이고 예저이며 탁엽이 부채모양으로 좀 넓은 모양이고 바깥쪽 가장자리에 톱니가 두세개 있습니다.
댓글목록 8
잘 기억해 두어야 겠습니다 덕분에 잘 배웁니다.
그런데 기재문 설명이 넘 어려워유~~~ 좀 쉬운말로 쓰면 안될까요?
전문가들 끼리야 간단 명료해서 좋겠지만, 일반인들이나 아마츄어에게는 거리감이 많이 느껴집니다.
그런데 기재문 설명이 넘 어려워유~~~ 좀 쉬운말로 쓰면 안될까요?
전문가들 끼리야 간단 명료해서 좋겠지만, 일반인들이나 아마츄어에게는 거리감이 많이 느껴집니다.
ㅎ~ 지송...... 풀어서 쓰면 기재문이 길어져서...... 워낙 꼼타라 ....... ㅎ~
원두 커피만 좋아하는데 ... 요두? 원저?
초딩은 너무 어려워요. ^*^
잎 모양이 다르군요.
초딩은 너무 어려워요. ^*^
잎 모양이 다르군요.
넓은잎갈퀴 잘보고배웁니다.
감사합니다.
감사합니다.
저도 많이 담아와서도
이름을 정확히 몰라 걍 뒀었는데
덕분 알게 되네요~ㅎㅎ
이름을 정확히 몰라 걍 뒀었는데
덕분 알게 되네요~ㅎㅎ
내 일럴줄 알았어...
뭔가 달라보였었는데, 걍 지나쳤단까요
뭔가 달라보였었는데, 걍 지나쳤단까요
한국말 맞죠? 한참 암호풀이해서 나온 결과는 넓은잎갈퀴. 어쨌든 다음에 그냥 지나치지 않을 이유는 생겼네요. ㅎ
멋지게담으셧습니다