조도만두
작성일 12-08-02 01:37
조회 1,132
댓글 10
추천수: 0
본문
Canon EOS 50D, F3.5, ISO-250, Auto WB, Auto Exposure, 1/200s, -0.67EV, Spot, 60mm, Flash not fired, 900 x 600, 2012:07:28 17:49:20
Canon EOS 50D, F5.6, ISO-400, Auto WB, Auto Exposure, 1/800s, -0.33EV, Spot, 100mm, Flash not fired, 900 x 600, 2012:07:28 18:01:50
Canon EOS 50D, F5.6, ISO-400, Auto WB, Auto Exposure, 1/250s, -0.67EV, Spot, 100mm, Flash not fired, 900 x 600, 2012:07:28 17:59:05
Canon EOS 50D, F4.5, ISO-400, Auto WB, Auto Exposure, 1/250s, -0.67EV, Spot, 100mm, Flash not fired, 900 x 600, 2012:07:28 17:58:40
Canon EOS 50D, F4.5, ISO-400, Auto WB, Auto Exposure, 1/2000s, -0.67EV, Spot, 100mm, Flash not fired, 900 x 599, 2012:07:28 17:57:20
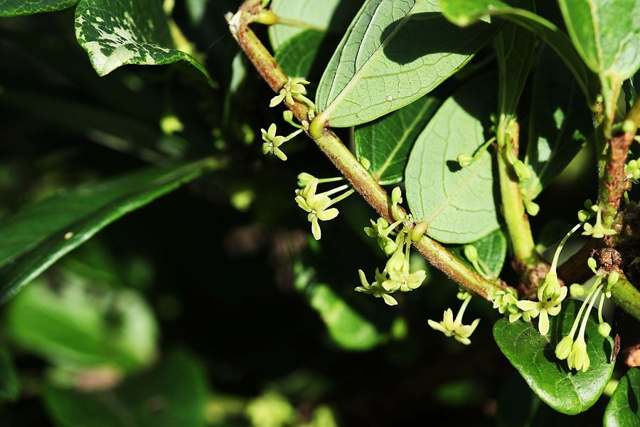
처음보는 이상하게 생긴 조도만두...조도에서 발견된 만두같은 열매 때문에 조도만두 람니다...
한가지에 암꽃과수꽃과 열매를 볼수 있네요...
크고 긴꽃이 수꽃입니다~~~
한가지에 암꽃과수꽃과 열매를 볼수 있네요...
크고 긴꽃이 수꽃입니다~~~
댓글목록 10
참 다양한 모습이네요.
더위에 만두 생각은~~
덕분에 공부합니다^^
더위에 만두 생각은~~
덕분에 공부합니다^^
여러가지 모습을 한장에 다 보여주시네요.
신기한 모습에 한참을 들여다 봅니다.
신기한 모습에 한참을 들여다 봅니다.
이름이 참 재미있습니다. 제목만 보고 무슨 뜻일까? 생각했는데...
조도에서 발견되었지만 여러 지방에서도 자라고 있는지요?
꽃이 피고 있는데 열매가 열려 있다는 사실도 재미있습니다. ㅎㅎ
조도에서 발견되었지만 여러 지방에서도 자라고 있는지요?
꽃이 피고 있는데 열매가 열려 있다는 사실도 재미있습니다. ㅎㅎ
아직 다른지방에 발견되었다는 정보는 없는것 같습니다.
지역이 한정된것 같아요~잘 모르지만~
지역이 한정된것 같아요~잘 모르지만~
열매가 만두 모양이긴 하네요.
귀한 꽃 잘 보고 갑니다.
귀한 꽃 잘 보고 갑니다.
조도군도는 진도에서 배타고 한창 가야 하는데~~
잘보고 갑니다.
잘보고 갑니다.
만두만큼 맛있는꽃 인가요?
진도표 인가요?
너무 신기해서 한참 봅니다^^
너무 신기해서 한참 봅니다^^
조도에 만두라.......
그럼 앙꼬는 조개인가요?.....ㅋㅋㅋ
참 희한한 모양으로 시선이 머붐니다.
그럼 앙꼬는 조개인가요?.....ㅋㅋㅋ
참 희한한 모양으로 시선이 머붐니다.
조도만두나무, 덕분에 귀한 꽃을 봅니다!!!