털쉽싸리
작성일 13-07-02 10:47
조회 794
댓글 11
추천수: 1
본문
Canon EOS 5D, F5.6, ISO-100, Auto WB, Manual Exposure, 1/320s, 0.00EV, Spot, 100mm, Flash not fired, 580 x 870, 2013:06:30 15:35:04
Canon EOS 5D, F5.6, ISO-100, Auto WB, Manual Exposure, 1/250s, 0.00EV, Spot, 100mm, Flash not fired, 580 x 870, 2013:06:30 15:34:40
Canon EOS 5D, F5.6, ISO-100, Auto WB, Manual Exposure, 1/125s, 0.00EV, Spot, 100mm, Flash not fired, 870 x 580, 2013:06:30 15:37:27
Canon EOS 5D, F5.6, ISO-100, Auto WB, Manual Exposure, 1/100s, 0.00EV, Spot, 100mm, Flash not fired, 870 x 580, 2013:06:30 15:37:50
아직은 좀 더 있어야 많은꽃을 활짝피운 모습을 볼수 있겠더군요.
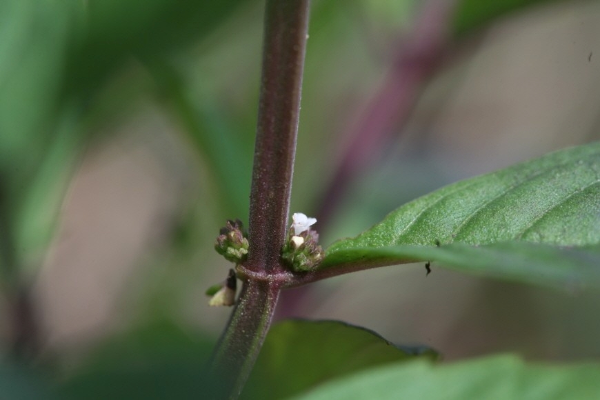
줄기가 자주색이고 전체에 아주 미세한 털이 있고 꽃받침이 난형이고 끝이 둔한것이 특징이라 합니다.
줄기가 자주색이고 전체에 아주 미세한 털이 있고 꽃받침이 난형이고 끝이 둔한것이 특징이라 합니다.
댓글목록 11
박다리님
반갑습니다
잘지내시지요??
반갑습니다
잘지내시지요??
아이구!!
눈에 보이긴 하는겁니까?
건안하십시요.
눈에 보이긴 하는겁니까?
건안하십시요.
쉽싸리가 쉽사리 볼 수 없는 작은꽃이네요.
겨드랑이에 작은 꽃들을 달고 있군요.....
털쉽싸리 보여주이소 도시락싸들고 여름휴가 가면안되나요.
기대합니다. 스케줄비어놓으세요7월말부터15일간~~ㅎㅎ
기대합니다. 스케줄비어놓으세요7월말부터15일간~~ㅎㅎ
작은 꽃들이 신기합니다.
꽃 이름이 너무 어렵습니다 ~ 하 ㅎㅎㅎ ^ ^
잔데 비슷하게 생겼네요 ~ ^ ^
잔데 비슷하게 생겼네요 ~ ^ ^
저는 이파리만 본 듯 합니다. ^^
꽃이 어찌 보이셨는지? ㅡ.ㅡ;
꽃이 어찌 보이셨는지? ㅡ.ㅡ;
처음봅니다...털쉽싸리 배우고 갑니다~
세상에~~
조기에 조롷게 작은 꽃이 피는 군요~
조기에 조롷게 작은 꽃이 피는 군요~
줄기에 매달려있는 앙증스런 꽃을 대한 님은 얼마나 행복했을까요.
감사합니다.
감사합니다.