끈끈이여뀌
작성일 13-07-29 15:14
조회 1,374
댓글 11
추천수: 0
본문
NIKON D300, F9.0, ISO-640, Auto WB, Auto Exposure, 1/200s, 0.00EV, Spot, 60mm, 1/1, Flash not fired, 900 x 598, 2013:07:29 09:28:09
NIKON D300, F9.0, ISO-640, Auto WB, Auto Exposure, 1/160s, 0.00EV, Spot, 60mm, 1/1, Flash not fired, 531 x 800, 2013:07:29 09:30:00
NIKON D300, F9.0, ISO-640, Auto WB, Auto Exposure, 1/100s, 0.00EV, Spot, 60mm, 1/1, Flash not fired, 900 x 598, 2013:07:29 09:27:50
NIKON D300, F9.0, ISO-640, Auto WB, Auto Exposure, 1/100s, 0.00EV, Spot, 60mm, 1/1, Flash not fired, 531 x 800, 2013:07:29 09:28:37
NIKON D300, F9.0, ISO-640, Auto WB, Auto Exposure, 1/320s, 0.00EV, Spot, 60mm, 1/1, Flash not fired, 900 x 598, 2013:07:29 09:32:01
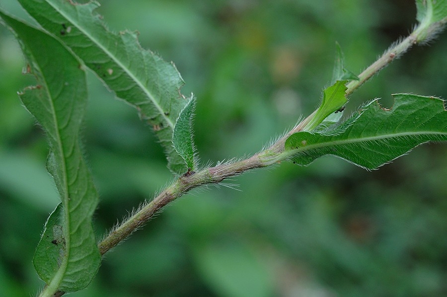
설용화님이 여뀌 공부하라 하셔서. 여뀌만 보면 줄기를 들여다 보는데,
욘석은 완전 털복숭이네요..
못보던 여뀌라 담아와서 찾아보니 설용화님이 올려놓은 끈끈이여뀌와 비슷한것 같습니다..
설님..맞쥬?^^
욘석은 완전 털복숭이네요..
못보던 여뀌라 담아와서 찾아보니 설용화님이 올려놓은 끈끈이여뀌와 비슷한것 같습니다..
설님..맞쥬?^^
댓글목록 11
^^ 그래유 맞아유
저는 큰끈끈이여뀌(털이 적다네요)를 찾고 있는디
당최 안보이네요..
저는 큰끈끈이여뀌(털이 적다네요)를 찾고 있는디
당최 안보이네요..
욘석들 옆에있던 아이가 의심스러웠어요...
대단하신 두분 덕분에 공부 하고 갑니다~~
다음엔 눈여겨봐야겠네요^^
털이 끈끈이 역할을 하는가보죠?
기회가 되면 만져 봐야겠어요!!!
역시 매눈......... 나두 보고싶당.
털복숭이네요....ㅎㅎ
우리아들 다리를 본듯...ㅋ
우리아들 다리를 본듯...ㅋ
만만찮은 등장...
덕분에 잘배웁니다
끈끈이여뀌 덕분에 잘배웁니다